Office Space at 1726 Shore Pkwy in Brooklyn
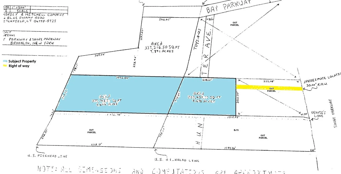
This offering is for 13.3 +/- acres (579,348+/- Sq. Ft.) riparian land, or land under water, in Gravesend Bay. This is the outer harbor of New York City. The land is 350' wide and is served by a 20+/- foot right of way off the Shore Parkway Service Road aka Lief Erikson Drive in the Bensonhurst section of Brooklyn, NY. The water depth varies from six feet to twenty feet at mean low water. The land is offered for rent or lease with a term of up to 35 years. Rent quoted is on an annual basis. Property is zoned M3-1. This property is in an OPPORTUNITY ZONE as defined under the 2017 Tax Reform Act and qualifies for special and favorable IRS Income Tax treatment.
This offering is for 13.3 +/- acres (579,348+/- Sq. Ft.) riparian land, or land under water, in Gravesend Bay. This is the outer harbor of New York City. The land is 350' wide and is served by a 20+/- foot right of way off the Shore Parkway Service Road aka Lief Erikson Drive in the Bensonhurst section of Brooklyn, NY. The water depth varies from six feet to twenty feet at mean low water. The land is offered for rent or lease with a term of up to 35 years. Rent quoted is on an annual basis. Property is zoned M3-1. This property is in an OPPORTUNITY ZONE as defined under the 2017 Tax Reform Act and qualifies for special and favorable IRS Income Tax treatment.


